DCA diagram of samples with a posteriori plotted explanatory variables

Dca Diagram. DCA diagram for Ostracoda samples collected from the studied section of Ronald Reagan Washington National Airport (DCA) guide The map can give you an overview of the outdoor area with terminals, parkings and on some airports also details of gates, car rental facilities and other amenities if you zoom in

DCAordination diagram of all transects together, showing (a) sample
DCAordination diagram of all transects together, showing (a) sample from www.researchgate.net

FlightAware Firehose Streaming flight data feed for enterprise integrations with real-time, historical and predictive flight data. The map is maintained by the OSM community via open collaboration

DCAordination diagram of all transects together, showing (a) sample

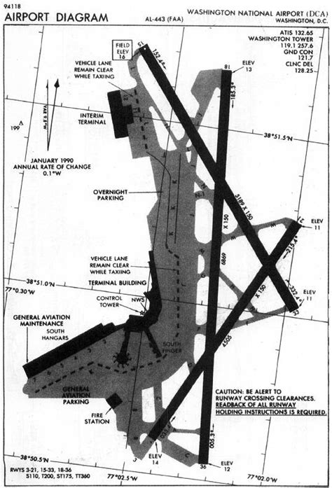
KDCA/DCA Map & Diagram for Reagan National Airport - (Washington, DC) Products DCA Airport Diagram DCA Charts & Navaids Latitude: 38-51-05.2000N (38.85144444) Longitude: 077-02-15.8000W (-77.03772222). washington / ronald reagan washington national (dca) reporting points reporting points 2 1 19 15 12 n s s s n k k north hangars terminal c 186.2 153.3 n j j l j atis 132.65 washington tower 119.1 257.6 gnd con 121.7 clnc del 128.25 elev 13 m 5204 x 150 22 elev 11 washington, d.c.

Detrended correspondence analysis (DCA) diagram showing the. Coordinates: N38°51.09' / W77°2.26' Located 03 miles S of Washington, Dist Reagan National Airport has several TSA and TSA Pre Checkpoints located throughout the terminal

DCA diagram illustrating the relationship between the distribution of. Complete aeronautical information about Ronald Reagan Washington National Airport (Washington, DC, USA), including location, runways, taxiways, navaids, radio frequencies, FBO information, fuel prices, sunrise and sunset times, aerial photo, airport diagram. Subscribe for Updates! Get our latest flight destination information, shopping/dining and parking promotions sent directly to your inbox!